Phone 4342 5333         Email us.

Skip Navigation Links.
Collapse Issue 322 - 22 Jul 2013Issue 322 - 22 Jul 2013
Collapse  NEWS NEWS
Collapse  FORUM FORUM
Collapse  HEALTH HEALTH
Collapse  ARTS ARTS
Collapse  EDUCATION EDUCATION
Collapse  SPORT SPORT

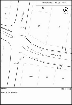
Sight distances extended at intersection

Two No Stopping restrictions will be implemented to extend sight distances in the vicinity of Edward St and Allfield Rd intersection in Woy Woy.

This follows a request to Gosford Council's Local Traffic Committee by a local resident.

The resident said that vehicles parked immediately east of the intersection on the northern side of Allfield Rd obscured westbound traffic along Allfield Rd.

An investigation by council staff revealed that the eastbound travel lane on Allfield Rd was 6.2m wide at the start of the double centre lines, which allowed vehicles to legally park approximately 30m easterly of the intersection.

The road narrowed to 4.8m approaching the intersection due to the pedestrian refuge, which stopped vehicles from parking in this area.

An inspection undertaken when there was light-medium traffic on Allfield Rd revealed that the sight distance was reduced to approximately 90m.

According to a report from the committee, the minimum safe intersection sight distance should be 114m for this intersection according to Austroads standards.

The report also stated that vehicles parking closer to the intersection would further reduce the sight distance to an unacceptable level.

The restrictions will be placed on the north-eastern and south-eastern corners of the Edward St and Allfield Rd intersection.

  • DevelopP

    pictures/300_DevelopP.jpg

    DevelopP

  • AgendaP

    pictures/300_AgendaP.jpg

    AgendaP

  • BeachP

    pictures/300_BeachP.jpg

    BeachP

  • ScoutP

    pictures/300_ScoutP.jpg

    ScoutP

  • PalmerP

    pictures/300_PalmerP.jpg

    PalmerP

  • GuidesP

    pictures/300_GuidesP.jpg

    GuidesP

  • RealignP

    pictures/300_RealignP.jpg

    RealignP

  • OpenP

    pictures/300_OpenP.jpg

    OpenP

  • SightP

    pictures/300_SightP.jpg

    SightP

  • RangerP

    pictures/300_RangerP.jpg

    RangerP

  • StopP

    pictures/300_StopP.jpg

    StopP

  • ExpoP

    pictures/300_ExpoP.jpg

    ExpoP

  • LaurenP

    pictures/300_LaurenP.jpg

    LaurenP

  • LionsP

    pictures/300_LionsP.jpg

    LionsP

  • SwampP

    pictures/300_SwampP.jpg

    SwampP

  • DialP

    pictures/300_DialP.jpg

    DialP

  • TwinsP

    pictures/300_TwinsP.jpg

    TwinsP

  • WineP

    pictures/300_WineP.jpg

    WineP

  • CoastP

    pictures/300_CoastP.jpg

    CoastP

  • KnitP

    pictures/300_KnitP.jpg

    KnitP

  • PerformP

    pictures/300_PerformP.jpg

    PerformP

  • BradP

    pictures/300_BradP.jpg

    BradP

  • JonesP

    pictures/300_JonesP.jpg

    JonesP

  • MalibuP

    pictures/300_MalibuP.jpg

    MalibuP

  • ClassicP

    pictures/300_ClassicP.jpg

    ClassicP

  • ClinicP

    pictures/300_ClinicP.jpg

    ClinicP

  • DartP

    pictures/300_DartP.jpg

    DartP

  • FoursP

    pictures/300_FoursP.jpg

    FoursP

  • PlayoffP

    pictures/300_PlayoffP.jpg

    PlayoffP

  • AronP

    pictures/300_AronP.jpg

    AronP



Search this website


Contribute!

Skip Navigation Links.

Skip Navigation Links.
  Copyright © 2013 Peninsula Community Access Newspaper Inc